
There’s an eerie reverence in the air when recalling the hurricanes that have etched themselves into the American chronicle. Each storm, a formidable force of nature, reshaped both landscapes and societal paths. While textbooks often focus on immediate destruction, delving into these tempestuous tales reveals profound, lasting impacts on community resilience and structural evolution. Let’s navigate through eight hurricanes that not only tore through coastlines but also reshaped the very fabric of American history.
The Great Galveston Hurricane Of 1900

On the eve of the 20th century, Galveston, Texas, was a burgeoning city brimming with promise. The storm surge that arrived with its infamous hurricane razed these illusions, obliterating homes and lives alike. This catastrophe not only claimed over 6,000 souls, becoming the deadliest natural disaster in U.S. history, but also sparked innovations like comprehensive weather warning systems. As the city rebuilt, a 17-foot seawall emerged, a testament to human tenacity and our eternal struggle to coexist with nature’s wrath.
New England’s Deadly 1938 Hurricane

Long before satellite forecasts and instant alerts, New England faced a rogue September tempest with untried valor. The hurricane of 1938 rampaged across states with unexpected ferocity, demolishing homes and livelihoods. It was a stark reminder of nature’s unpredictable temper, catching many unprepared and highlighting gaps in emergency response initiatives. In its wake, communities abandoned complacency, strengthening disaster preparedness and communication networks—a legacy of resilience woven into the region’s culture.
Florida’s Hurricane Andrew Of 1992

Andrew carved a path of devastation across South Florida, its fury unmatched for decades. Beyond the shredded streets and uprooted palm trees, Andrew’s true legacy lay in its exposure of building code weaknesses. The aftermath prompted a reevaluation of construction standards and practices, ushering in more rigorous regulations. This storm was a turning point, transforming how we understand infrastructure resilience and underscoring the significance of preparedness in the face of increasingly unpredictable climate challenges.
Katrina: The Storm That Shook 2005

Katrina was more than wind and water—it was the microscope revealing systemic inequities and the resilience of spirit amidst adversity. As floodwaters engulfed New Orleans, the storm underscored the vulnerabilities within disaster response and urban planning. Yet, from this ruin arose voices demanding change, fueling dialogue on climate policy and social justice. Katrina forged a narrative extending beyond tragedy, one that speaks of community solidarity and the relentless human pursuit of a stronger, more equitable future.
The Devastation Of Hurricane Maria

Hurricane Maria’s wrath left an indelible scar on Puerto Rico’s landscape and psyche. More than an environmental disaster, it illuminated systemic vulnerabilities in infrastructure and governance. The storm’s fury stripped away modern conveniences, revealing resilience rooted in community and tradition. Beyond its winds, Maria’s legacy is in the countless stories of survival, ingenuity, and the profound question of identity and belonging within the U.S. framework.
Harvey’s Relentless Rainfall Of 2017

Harvey wasn’t just a storm; it was a testament to nature’s unyielding force. Over days, it redefined the Gulf Coast, dumping unprecedented rain and testing the spirit of its people. These relentless waters left both homes and ideologies submerged. The aftermath saw neighbors morph into heroes and forced a reckoning on urban planning, climate readiness, and humanity’s delicate dance with the environment.
Sandy’s Surge In 2012

More than a meteorological event, Sandy was a wake-up call echoing through the corridors of power and along the densely populated Northeast. She unveiled the frailty of infrastructure in the face of surging seas, from darkened Manhattan streets to devastated Jersey shores. Her legacy lives in the policy shifts and community resilience that rose from the floodwaters, challenging perceptions of safety in a changing world.
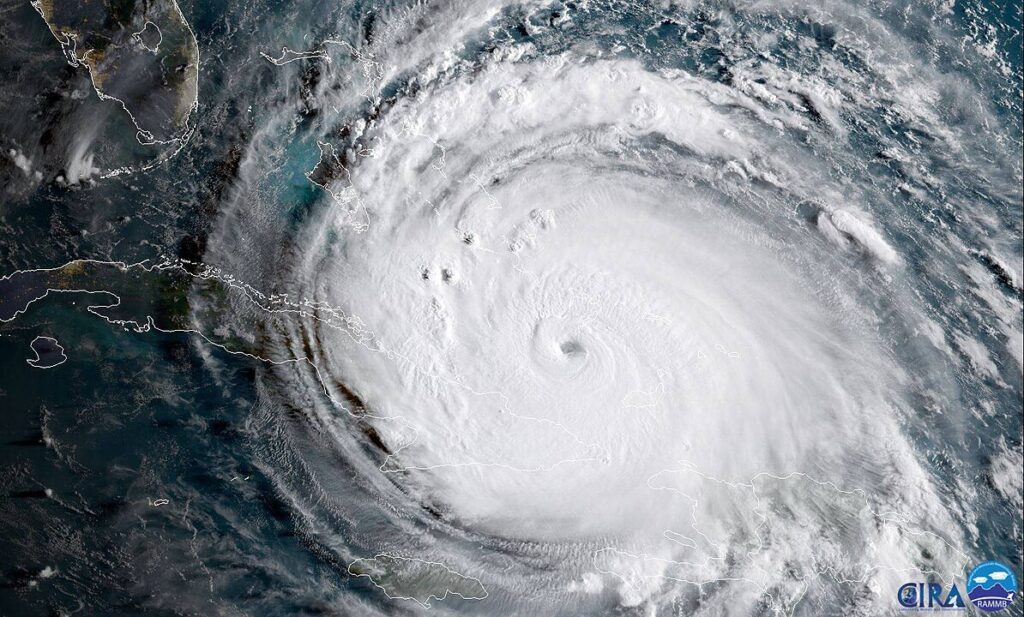
Irma’s Path Of Destruction

As Irma carved her path through Florida and beyond, she did more than reshape coastlines; she redefined narratives on preparedness and vulnerability. Buildings, old and new, stood as testament to human effort but crumbled under nature’s indifference. Her fierce winds and relentless drive prompted a reevaluation of readiness, spurring debates on policy, human impact, and the unpredictable dance of wind and wave that will shape future horizons.



